Hidden Mine Homesite For Sale
Chris Kopf, Global Luxury Property Specialist, Coldwell Banker Mountain Properties is pleased to announce Hidden Mine Homesite #19 For Sale in Crested Butte, Colorado. Lot #19, MLS #807742, Offered at $625,000

Video Tour – Homesite #19 Hidden Mine Ranch
About Hidden Mine Homesites For Sale
Build your dream home on these 35 Acre homesites in Hidden Mine Ranch. Located less than a mile from the town of Crested Butte in a gated subdivision this unique homesite offers spectacular views of Crested Butte mountain and the upper valley.
Homesite#19 is a 35 acre parcel. This homesite is just steps from the old jeep trail and wilderness adventure access to national forest giving you direct access to great hiking, mountain biking, backcountry skiing, snowmobiling, horseback riding, and hunting. Hidden Mine Ranch owners also enjoy private fishing rights on the Slate River.
Property Taxes are only $8.50 due to Agricultural status with the county!


Details Hidden Mine Homesite For Sale
- AVAILABLE Lot #19, MLS #807742, Offered at $625,000
- Recently SOLD Adjacent Lot #1, MLS #774242, Sold at $940,500
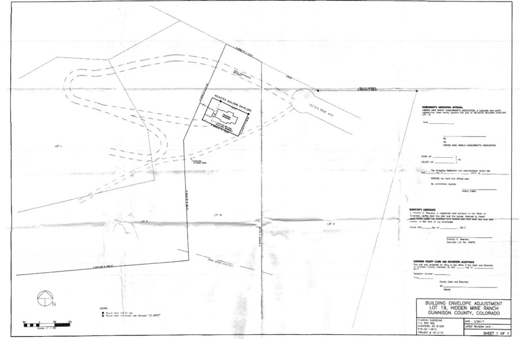
Site Plan Lot 19 Hidden Mine Ranch
See the Aerial – and Architectural Drawing siting the home on Lot 19. Also See that adjacent Lot #1 has a Water Well with yield of 15 gallons per minute.


How can I help you with Your Crested Butte Real Estate Needs?

I hope you have enjoyed TETWP Heidi Sherratt Interview. If you are considering buying or selling – I have been in your shoes. My wife and I were second homeowners for 10 years prior to moving our family to Crested Butte full time.
I am consistently among the Top Real estate agents in Crested Butte and among the top 1% of all Coldwell Banker Agents in the world, and I strive to exceed client expectations.
Especially now in these crazy post Covid times you need a trusted advisor to help you sort out your next steps. Call or Text me: (970) 209-5405
You May Be Wondering… How is the Crested Butte Real Estate Market Doing?
The Crested Butte Real Estate Market is very active. Get Your Monthly Crested Butte Real Estate Market Reports.

Whether you are a current Second Homeowner or You are Considering Buying Real Estate in Crested Butte – this detailed Monthly Market Report will save you Time and Help YOU make informed decisions.
Get Your Crested Butte Real Estate Market Report Now!
Chris Kopf, Global Luxury Property Specialist
Coldwell Banker Mountain Properties
970-209-5405 or Chris.Kopf@CBMP.com
chriskopfCB.com or call or text: (970) 209-5405






